Extent of prohibition
The consumption of liquor is prohibited and the possession of liquor is prohibited.
Period of prohibition
From 10 pm on each day to 8 am on the following day.
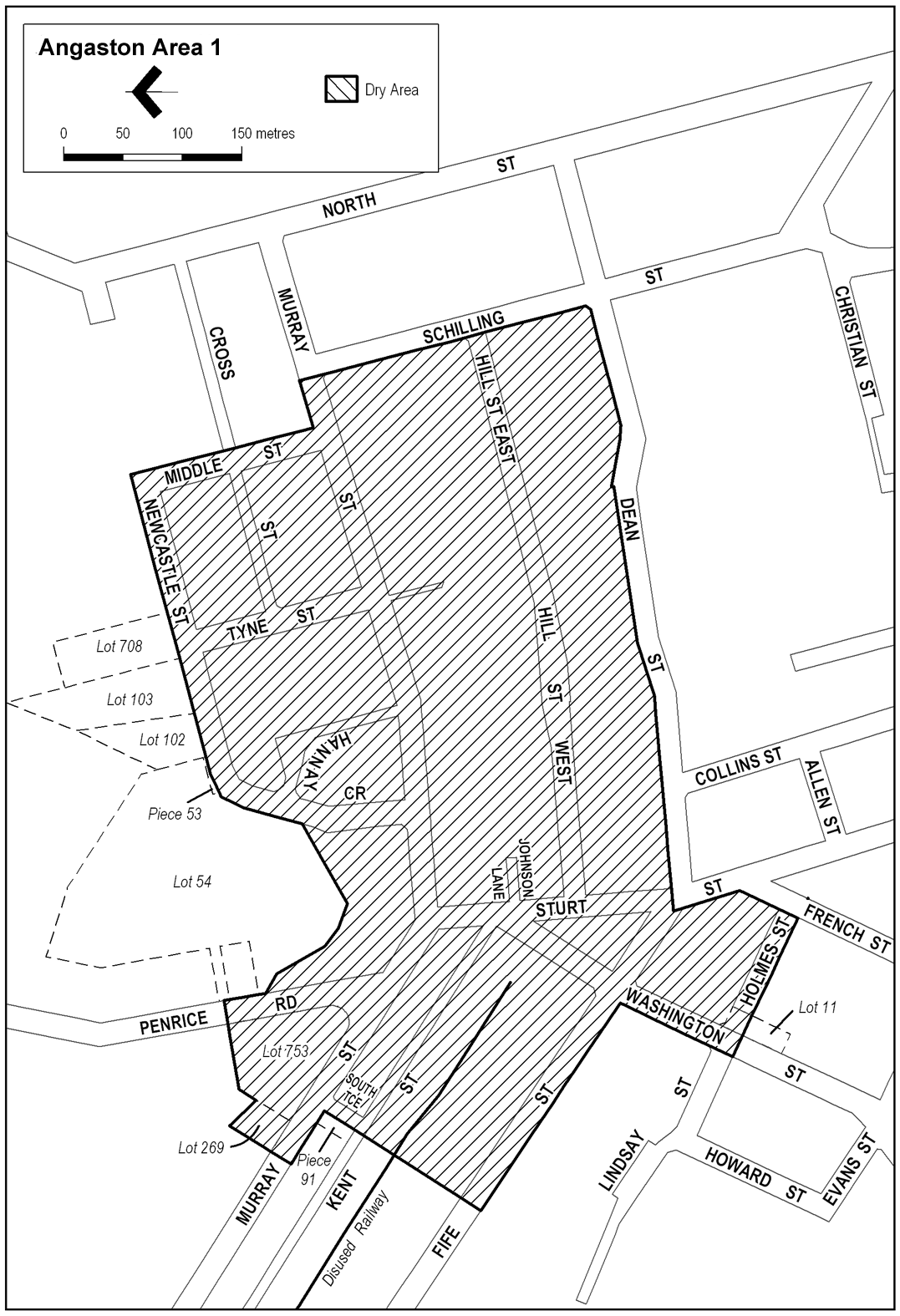
Description of area
The area in Angaston bounded as follows: commencing at the point at which the northern boundary of Dean Street intersects the western boundary of Schilling Street, then north westerly along the western boundary of Schilling Street and the prolongation in a straight line of that boundary to the northern boundary of Murray Street, then south westerly along that northern boundary of Murray Street to the eastern boundary of Middle Street, then north westerly along that boundary of Middle Street and the prolongation in a straight line of that boundary to the northern boundary of Newcastle Street, then south westerly along that boundary of Newcastle Street to the southern boundary of Lot 708 DP 1573, then generally south westerly and north westerly along the southern boundary of Lot 708 and of the adjoining allotments (Lot 103 DP 23247, Lot 102 DP 23247, Piece 53 DP 45842 and Lot 54 DP 45843) to the eastern boundary of Penrice Road, then north westerly along that boundary of Penrice Road to the point at which it intersects the prolongation in a straight line of the northern boundary of Lot 753 DP 1573, then generally south westerly along that prolongation and boundary of Lot 753 to the point at which it meets the north eastern boundary of Lot 269 FP 172530, then north westerly and south westerly along the north eastern and north western boundaries of Lot 269 and the prolongation in a straight line (across Murray Street) of the north western boundary of that Lot to the southern boundary of Murray Street, then south easterly along that boundary of Murray Street to the south eastern boundary of Piece 91 of FP 170445 (the north western boundary of South Terrace), then south westerly along that boundary of Piece 91 and the prolongation in a straight line of that boundary to the southern boundary of Fife Street, then south easterly along that southern boundary of Fife Street to the western boundary of Washington Street, then south westerly along that boundary of Washington Street to the southern boundary of Lindsay Street, then in a straight line by the shortest route to the point at which the southern boundary of Holmes Street meets the eastern boundary of Lot 11 FP 14788, then south easterly along that southern boundary of Holmes Street to the western boundary of French Street, then north easterly along that boundary of French Street to the western boundary of Sturt Street, then north westerly along that boundary of Sturt Street to the point at which it intersects the prolongation in a straight line of the northern boundary of Dean Street, then easterly and north easterly along that prolongation and boundary of Dean Street to the point of commencement.
Map of area
