Extent of prohibition
The consumption of liquor is prohibited and the possession of liquor is prohibited.
Period of prohibition
From 10 pm on each day until 8 am on the following day.
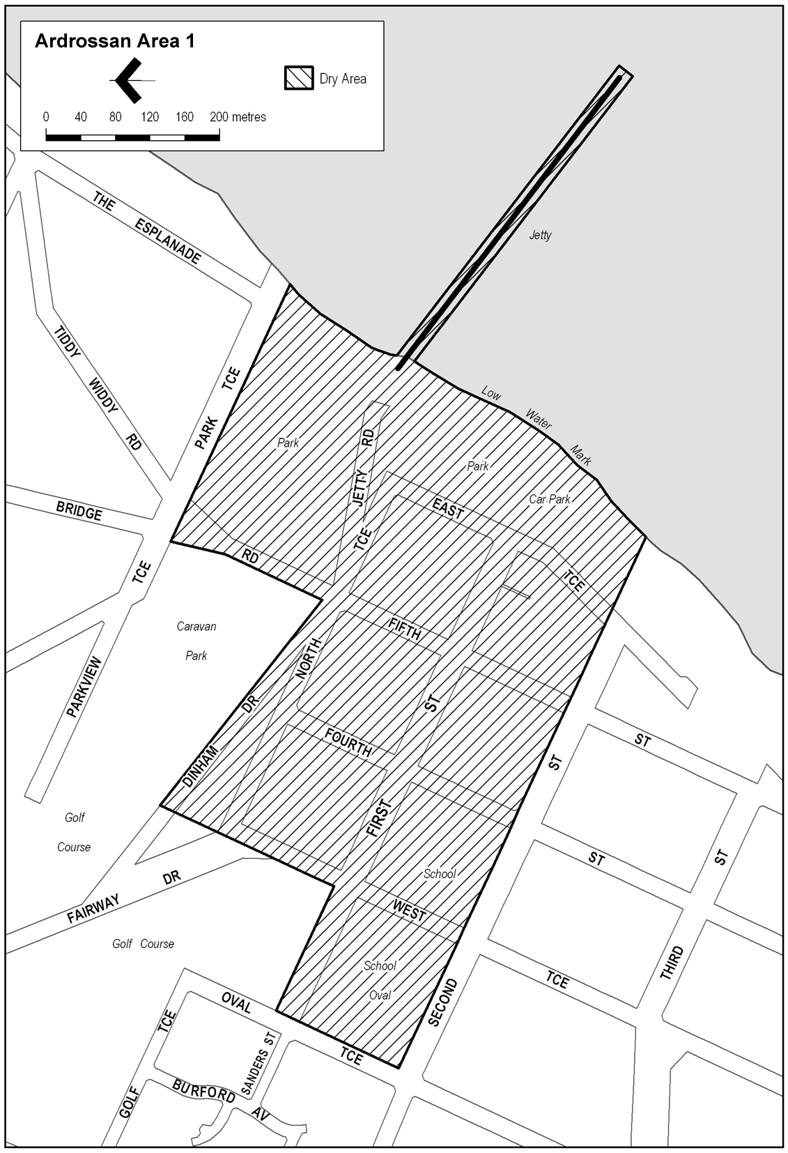
Description of area
The area in Ardrossan bounded as follows: commencing at the point at which the north-eastern boundary of Second Street intersects the south-eastern boundary of Oval Terrace, then north-easterly along that boundary of Oval Terrace to the north-eastern boundary of First Street, then south-easterly along that boundary of First Street to the north-western boundary of West Terrace, then north-easterly along that boundary of West Terrace and the prolongation in a straight line of the portion of that boundary that runs north-easterly in a straight line from First Street, to the north-eastern boundary of Dinham Drive, then south-easterly along that boundary of Dinham Drive to the north-western boundary of Bridge Road, then north-easterly and northerly along that boundary of Bridge Road to the south-western boundary of Parkview Terrace, then in a straight line by the shortest route (across Bridge Road) to the point at which the south-eastern boundary of Bridge Road meets the south-western boundary of Park Terrace, then south-easterly along that boundary of Park Terrace and the prolongation in a straight line of that boundary to the low water mark on the western side of Gulf St Vincent, then generally south-westerly along that low water mark to the north-eastern side of the Ardrossan Jetty, then generally south-easterly, south-westerly and north-westerly around the outer boundary of the jetty (so as to include within the area the whole of the jetty and the area beneath the jetty) back to the low water mark on the south-western side of the jetty, then generally south-westerly along that low water mark to the point at which it is intersected by the prolongation in a straight line of the north-eastern boundary of Second Street, then north-westerly along that prolongation and boundary of Second Street to the point of commencement.
Map of area
