Extent of prohibition
The consumption of liquor is prohibited and the possession of liquor is prohibited.
Period of prohibition
Continuous.
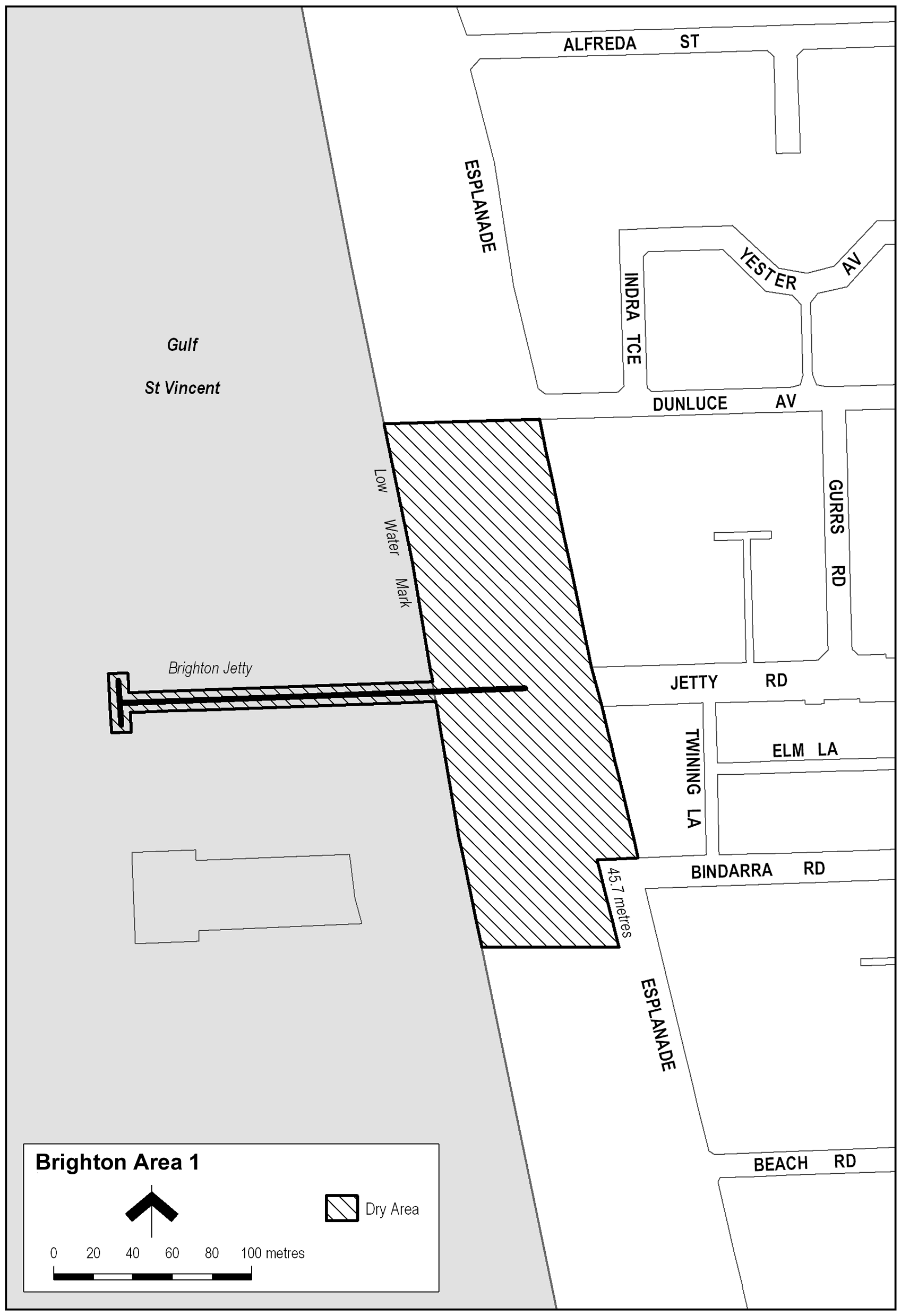
Description of area
The area in Brighton bounded as follows: commencing at the point at which the southern boundary of Dunluce Avenue meets the eastern boundary of the Esplanade, then south-easterly along that eastern boundary of the Esplanade to the northern boundary of Bindarra Road, then westerly along the prolongation in a straight line of the northern boundary of Bindarra Road to the kerb line dividing the western footpath of the Esplanade from the Esplanade carriageway, then south-easterly along that kerb line for a further 45.7 metres, then due west in a straight line to the low water mark of Gulf St Vincent, then generally north-westerly along the low water mark to the southern side of the Brighton Jetty, then generally westerly, northerly and easterly around the outer boundary of the Jetty back to the low water mark on the northern side of the Jetty, then generally north-westerly along the low water mark to its intersection with the prolongation in a straight line of the southern boundary of Dunluce Avenue, then easterly along that prolongation to the point of commencement.
Map of area
