Extent of prohibition
The consumption of liquor is prohibited and the possession of liquor is prohibited.
Period of prohibition
From 6.00pm on 30 December 2023 – 6.00am on 2 January 2024
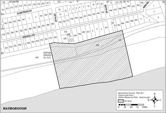
Description of area
The area adjacent to Victor Harbor generally known as the Chiton Rocks Surf Lifesaving Club car park and the adjacent beach, being the area bounded on the north by the northern boundaries of Lot 469 DP 3482 and Lot 440 DP 3207, on the west by the prolongation in a straight line of the western boundary of Lot 433 DP 3207, on the south by the low water mark on Encounter Bay and on the east by the prolongation in a straight line of the eastern boundary of Lot 463 DP 3482.
Map of area
