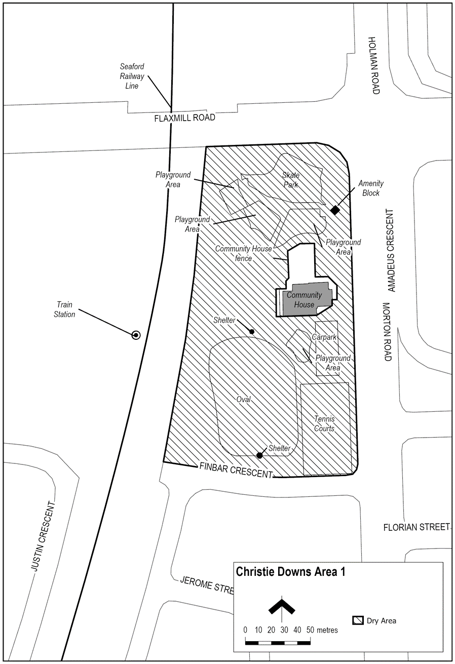
Extent of prohibition
The consumption of liquor is prohibited and the possession of liquor is prohibited.
Period of prohibition
Continuous.
Description of area
The area in Christie Downs generally known as Niipu-niipu Wama/Morton Park being the area bounded on the north by Flaxmill Road, on the west by the Seaford railway line, on the south by the southern part of the car park continuing east along Finbar Crescent, on the east by Morton Road, excluding the Christie Downs Community House and the associated enclosed outside area as designated by a chain fence.
Map of area
