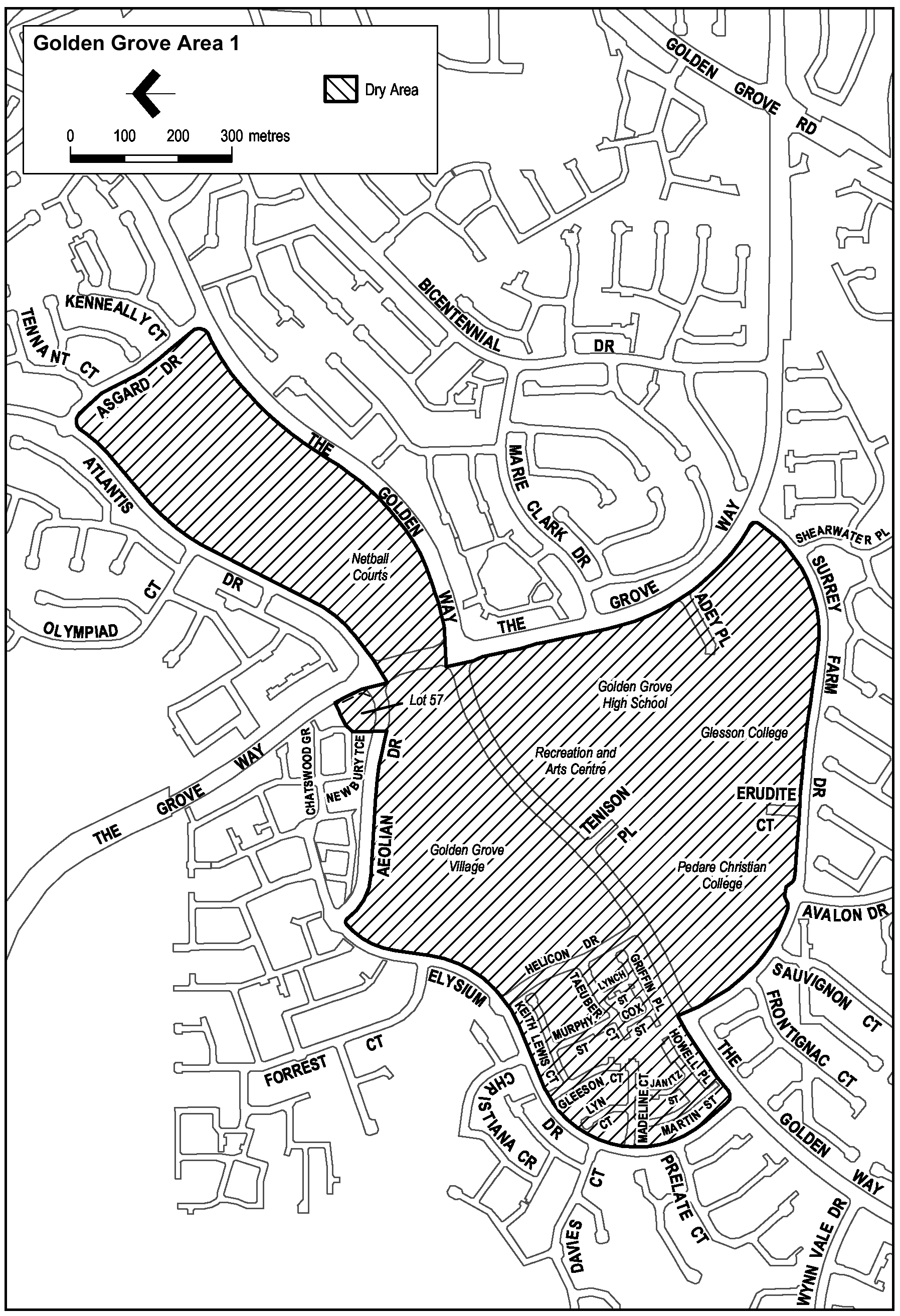
Extent of prohibition
The consumption of liquor is prohibited and the possession of liquor is prohibited.
Period of prohibition
Continuous.
Description of area
The area at Golden Grove and Wynn Vale bounded as follows: commencing at the point at which the north-western boundary of The Golden Way meets the south-western boundary of Asgard Drive, then generally north-westerly along that boundary of Asgard Drive to the south-eastern boundary of Atlantis Drive, then generally south-westerly along that boundary of Atlantis Drive to the north-eastern boundary of The Grove Way, then in a straight line by the shortest route to the point at which the southern boundary of Aeolian Drive meets the south-western boundary of The Grove Way, then north-westerly along that boundary of The Grove Way to the point at which it meets the prolongation in a straight line of the northern boundary of Lot 57 of Deposited Plan No 54563, then generally south-westerly and southerly along that prolongation and the northern and western boundaries of Lot 57 and the prolongation in a straight line of the western boundary to the southern boundary of Aeolian Drive, then generally westerly along that boundary of Aeolian Drive to the south-eastern boundary of Elysium Drive, then generally south-westerly and south-easterly along that boundary of Elysium Drive to the north-western boundary of The Golden Way, then north-easterly along that boundary of The Golden Way to the point at which it intersects the prolongation in a straight line of the north-eastern boundary of Surrey Farm Drive, then generally south-easterly, easterly and north-easterly along that prolongation and boundary of Surrey Farm Drive to the south-western boundary of The Grove Way, then generally north-westerly and northerly along that boundary of The Grove Way to the point at which it intersects the north-western boundary of The Golden Way, then generally north-easterly along that boundary of The Golden Way to the point of commencement.
Map of area
