Extent of prohibition
The consumption of liquor is prohibited and the possession of liquor is prohibited.
Period of prohibition
From 8 pm on each day to 8 am on the following day.
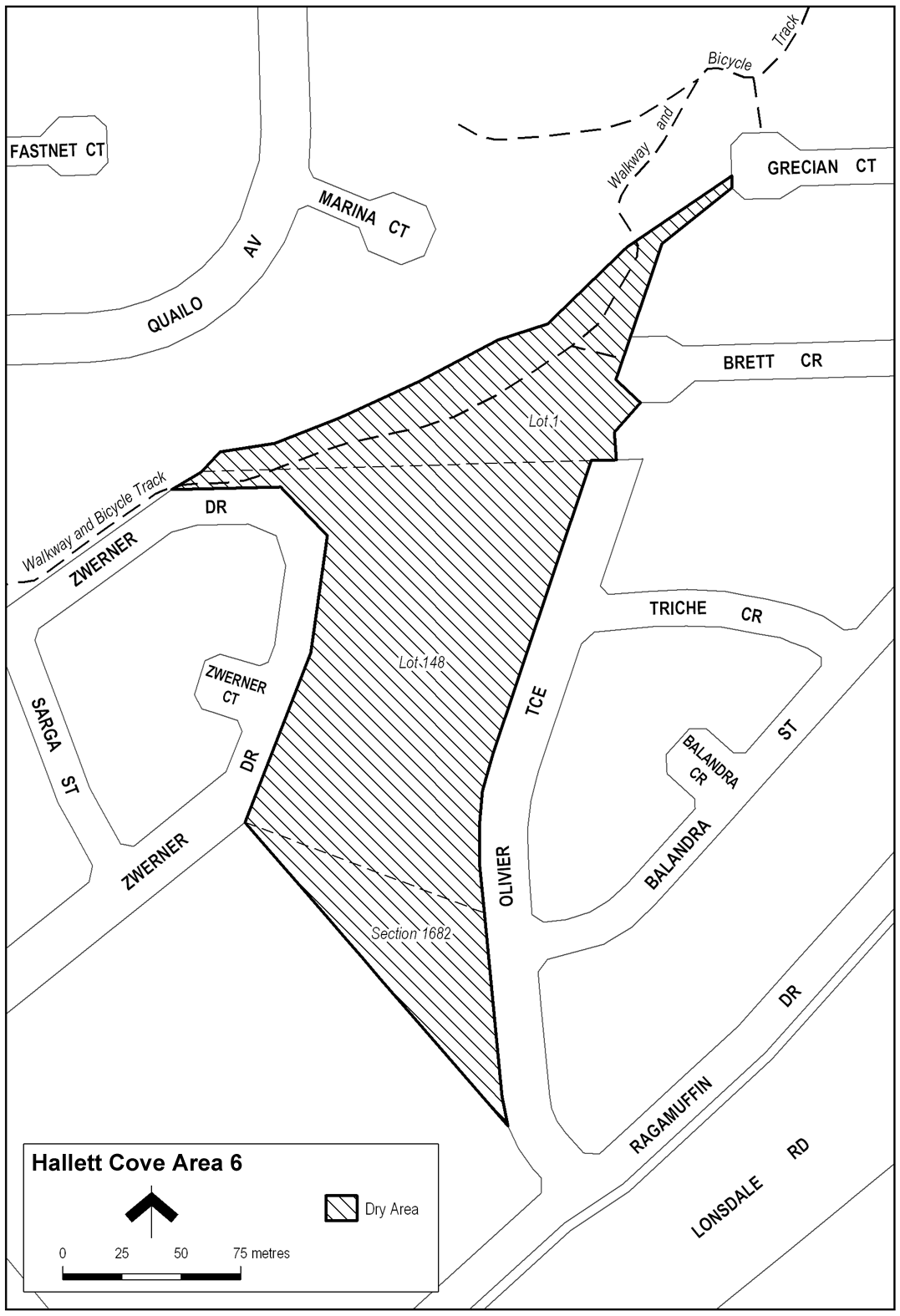
Description of area
The area in Hallett Cove generally known as Olivier Terrace Reserve, comprising Lot 1 DP 73147, Lot 148 DP 10898 and Section 1682 Hundred of Noarlunga.
Map of area
