Extent of prohibition
The consumption of liquor is prohibited and the possession of liquor is prohibited.
Period of prohibition
Continuous, provided that where:
(a) an event of historic, cultural, traditional or major community significance is held in the area; and
(b) the consumption and possession of liquor in the area (or a defined portion of the area) are authorised for a specified period for the purposes of the event by the District Council of Loxton Waikerie, the prohibition does not apply in the area (or defined portion of the area) during that specified period.
The District Council of Loxton Waikerie may not grant authorisations applicable to areas in Loxton under these regulations in relation to more than 5 events in any 12 month period.
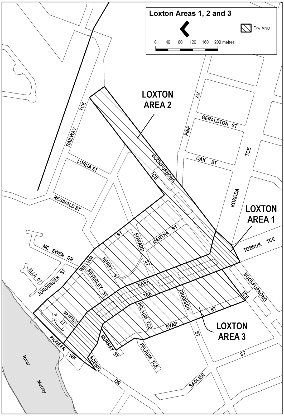
Description of area
The area in Loxton, comprising East Terrace and additional land, as follows: commencing at the point at which the north-western boundary of Pioneer Walk intersects the prolongation in a straight line of the south-western boundary of Lot 241 of Filed Plan No. 178257, then south-easterly along that prolongation and boundary of Lot 241 and the north-eastern boundary of East Terrace to the point at which the north-eastern boundary of East Terrace meets the north-western boundary of Bookpurnong Terrace, then in a straight line by the shortest route to the point at which the south-eastern boundary of Bookpurnong Terrace meets the north-eastern boundary of Kokoda Terrace, then in a straight line by the shortest route to the point at which the south-western boundary of Kokoda Terrace meets the north-eastern boundary of Tobruk Terrace, then in a straight line by the shortest route to the point at which the south-western boundary of Tobruk Terrace meets the south-eastern boundary of Bookpurnong Terrace, then in a straight line by the shortest route to the point at which the north-western boundary of Bookpurnong Terrace meets the south-western boundary of East Terrace, then north-westerly along that boundary of East Terrace to the north-western boundary of Scenic Drive, then south-westerly along that boundary of Scenic Drive to the point at which it meets the north-western boundary of Pioneer Walk, then north-easterly along that boundary of Pioneer Walk to the point of commencement.
Map of area
