Extent of prohibition
The consumption of liquor is prohibited and the possession of liquor is prohibited.
Period of prohibition
From 10 pm on each day to 8 am on the following day.
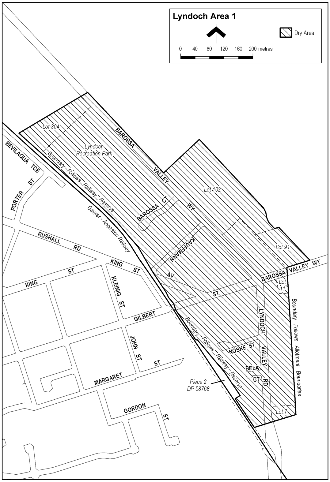
Description of area
The area in Lyndoch bounded as follows: commencing at the point at which the prolongation in a straight line of the north western boundary of Lot 304 DP 23019 meets the north eastern boundary of Barossa Valley Way, then south easterly along that boundary of Barossa Valley Way to the north western boundary of Lot 102 DP 45594, then north easterly and south easterly along the north western and north eastern boundaries of Lot 102 to the north western boundary of Lot 91 FP 173100, then north easterly, south easterly and south westerly along the north western, north eastern and south eastern boundaries of Lot 91 to the south western boundary of Lot 91, then in a straight line by the shortest route (across Barossa Valley Way) to the point at which the north western boundary of Lot 11 FP 100287 meets the eastern boundary of that Lot, then southerly along the eastern boundary of Lot 11 and the eastern boundaries of the adjoining lots to the south eastern boundary of Lot 7 FP 100286, then south westerly along that south eastern boundary of Lot 7 and the prolongation in a straight line of that boundary to the north eastern boundary of the railway reserve (Piece 2 DP 58768), then generally north westerly along that boundary of the railway reserve to the south eastern boundary of Gilbert Street, then in a straight line by the shortest route across Gilbert Street to the point at which the north eastern boundary of the railway reserve on the northern side of Gilbert Street meets the north western boundary of Gilbert Street, then generally north westerly along the north eastern boundary of the railway reserve to the north western boundary of Lot 304 DP 23019, then north easterly along the north western boundary of Lot 304 and the prolongation in a straight line of that boundary to the point of commencement.
Map of area
