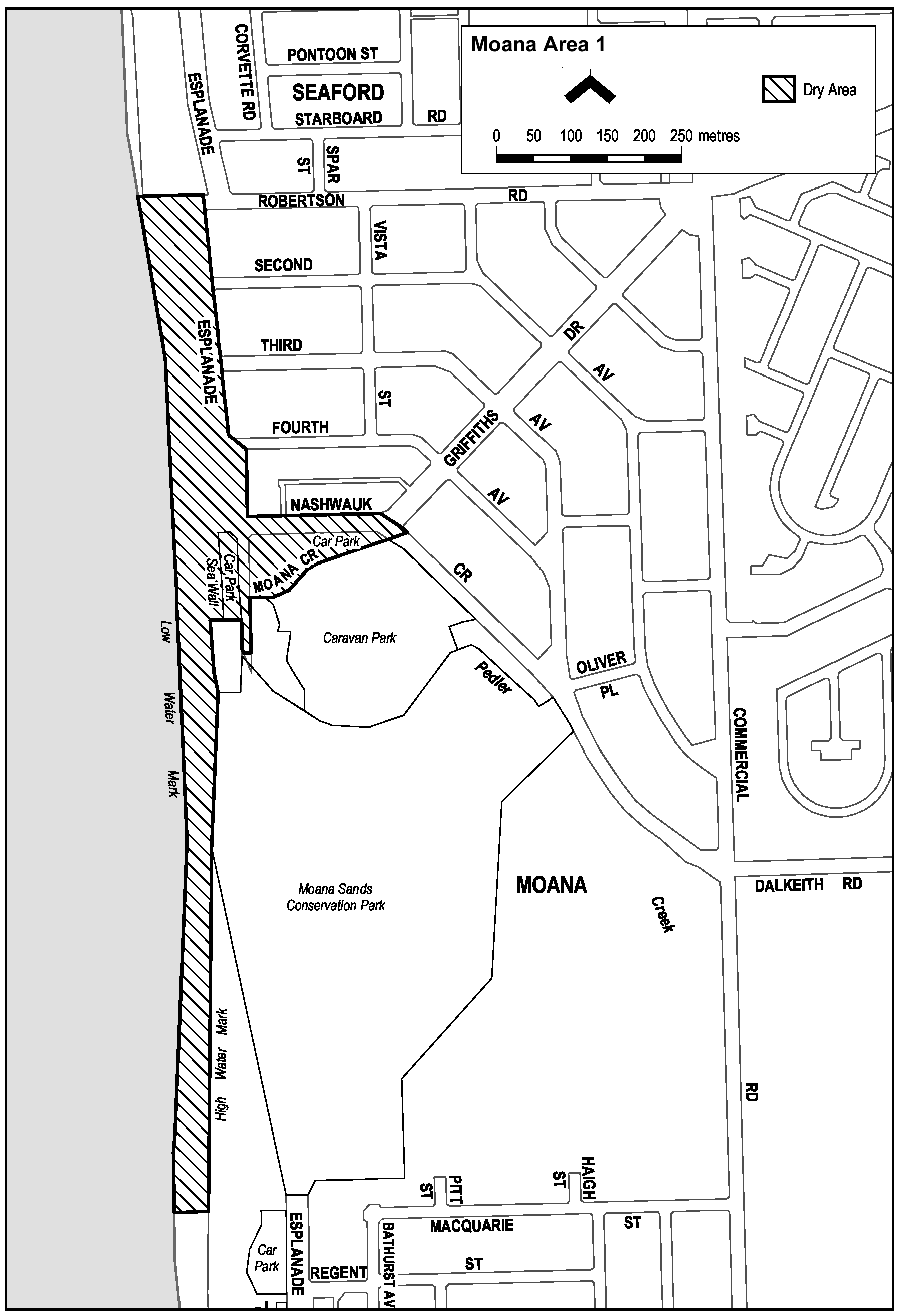
Extent of prohibition
The consumption of liquor is prohibited and the possession of liquor is prohibited.
Period of prohibition
Continuous.
Description of area
Commencing at the point at which the northern boundary of Robertson Road intersects the eastern boundary of the Esplanade, then southerly along the eastern boundary of the Esplanade to its intersection with the northern boundary of Nashwauk Crescent, then easterly along that northern boundary of Nashwauk Crescent to the point at which it meets the eastern boundary of Griffiths Drive, then in a straight line by the shortest route across Nashwauk Crescent to the southern boundary of the car park and reserve area opposite the southern end of Griffiths Drive, then generally south-westerly and westerly along that boundary of the car park and reserve area and the southern boundary of Moana Crescent to the eastern boundary of the Esplanade, then southerly along that eastern boundary of the Esplanade to the southern boundary of the Esplanade, then westerly along the southern boundary to the western boundary of the Esplanade, then northerly along the western boundary to the southern boundary of the car park, then westerly along the southern boundary of the car park to the sea-wall that forms the western boundary of the car park, then in a straight line by the shortest route to the high water mark, then generally southerly along the high water mark to its intersection with a fence extending from high to low water mark at a point approximately in line with the westerly prolongation of Macquarie Street, then westerly along that fence to low water mark, then generally northerly along low water mark to its intersection with the prolongation in a straight line of the northern boundary of Robertson Road, then easterly along that prolongation to the point of commencement.
Map of area
