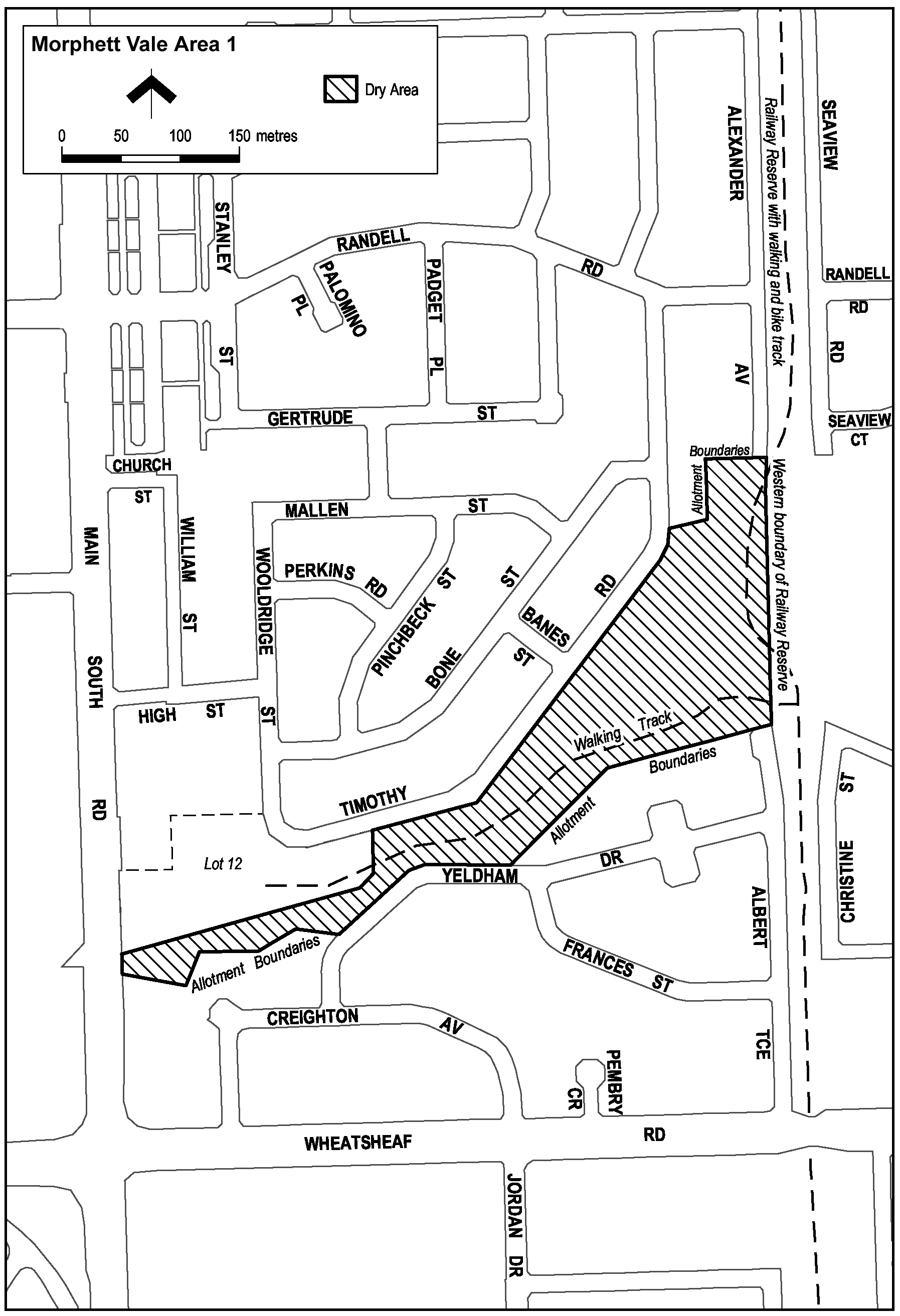
Extent of prohibition
The consumption of liquor is prohibited and the possession of liquor is prohibited.
Period of prohibition
8 pm on each day to 6 am on the following day.
Description of area
Reserve area in Morphett Vale, as follows: commencing at the point at which the south-eastern corner of the southern end of Alexander Avenue, Morphett Vale, meets the western boundary of the railway reserve that adjoins the eastern boundary of Alexander Avenue, then southerly along that western boundary of the railway reserve (the boundary approximately indicated by the line along which the land rises sharply to the level of the railway reserve) to the point at which the boundary of the railway reserve meets the eastern boundary of Albert Terrace, then in a straight line by the shortest route across Albert Terrace to the north-eastern corner of the northernmost allotment of private land adjoining the western boundary of Albert Terrace, then generally south-westerly along the northern boundaries of that allotment and the adjoining allotments (and the western boundary of the final such allotment) to the northern boundary of Yeldham Drive, then generally westerly and south-westerly along the northern boundary of Yeldham Drive to the north-eastern corner of the next allotment of private land adjoining the northern boundary of Yeldham Drive, then generally westerly and south-westerly along the northern boundaries of that allotment and the adjoining allotments to the eastern boundary of Main South Road, then northerly along that boundary of Main South Road to the south-western corner of Lot 12, Main South Road, then north-easterly and northerly along the southern and eastern boundaries of Lot 12 to the point at which the eastern boundary meets the southern boundary of Timothy Road, then easterly and north-easterly along that boundary of Timothy Road to the southern boundary of the first allotment of private land that adjoins that same side of Timothy Road, then north-easterly along the southern boundary of that allotment to its south-eastern corner, then northerly along the eastern boundary of that allotment and the two adjoining allotments to the north-eastern corner of the second adjoining allotment, then easterly along the southern boundary of the adjoining allotments and the southern boundary of Alexander Avenue to the point of commencement.
Map of area
