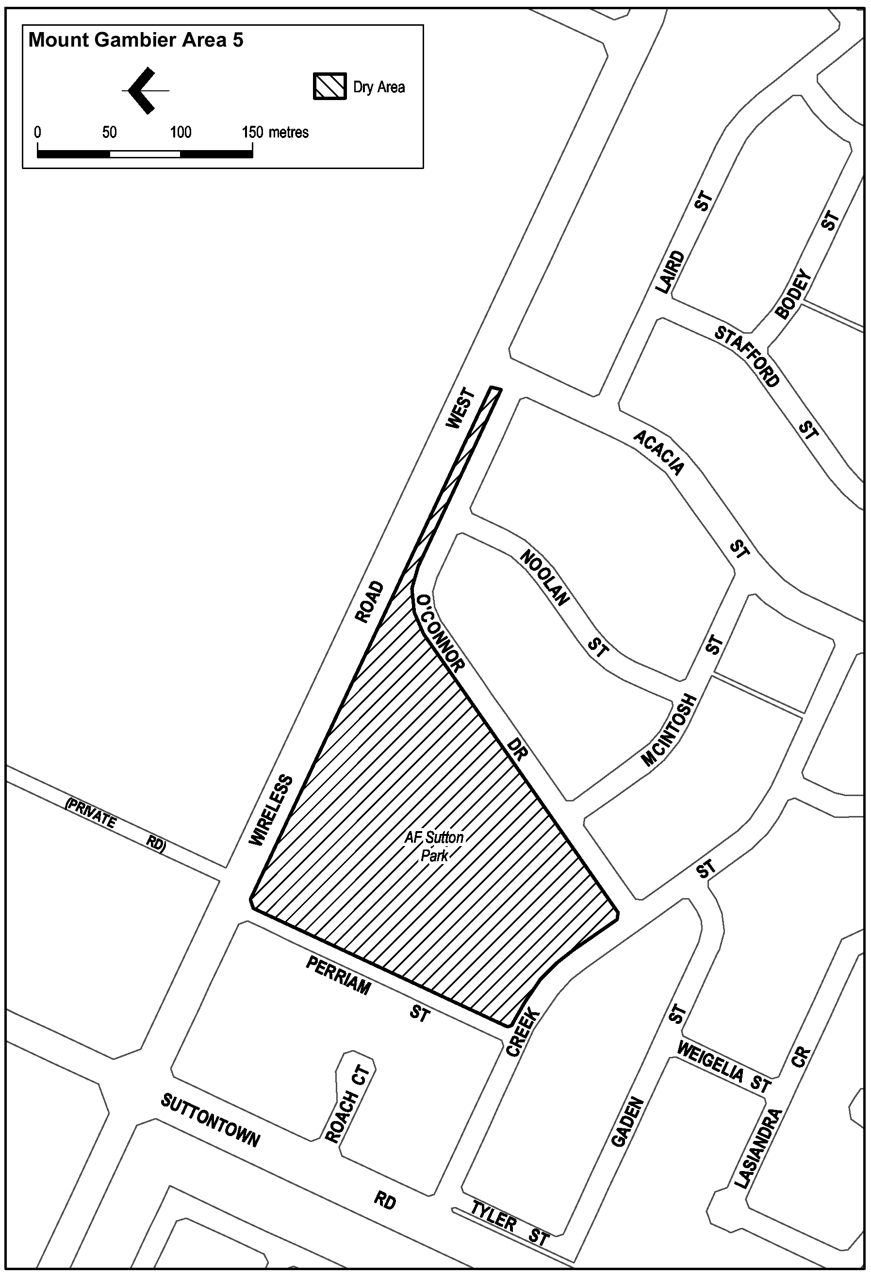
Extent of prohibition
The consumption of liquor is prohibited and the possession of liquor is prohibited.
Period of prohibition
Continuous - 24hrs / 7 days per week.
Description of area
The area in Mount Gambier, known as A F Sutton Park, bounded on the north by Wireless Road West, on the east by Acacia Street, on the south and south-east by O'Connor Drive, on the south by Creek Street and on the west by Perriam Street.
Map of area
