Extent of prohibition
The consumption of liquor is prohibited and the possession of liquor is prohibited.
Period of prohibition
From 10 pm on each day to 8 am on the following day.
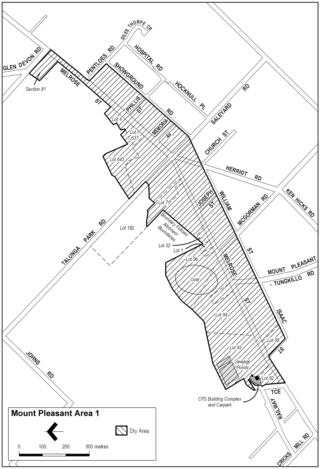
Description of area
The area in Mount Pleasant bounded as follows: commencing at the point at which the south eastern boundary of Melrose Street meets the south western boundary of Pentloes Road, then south easterly along the south western boundary of Pentloes Road to the north western boundary of Showground Road, then south westerly along the north western boundary of Showground Road to the north eastern boundary of Saleyard Road, then in a straight line by the shortest route to the point at which the north western boundary of William Street meets the north western boundary of Herriot Road, then south westerly along the north western boundary of William Street and the north western boundary of Isaac Street to the point at which that boundary of Isaac Street meets the south western boundary of Lot 58 FP 217853, then north westerly along that south western boundary of Lot 58 to the south eastern boundary of Melrose Street, then south westerly along that boundary of Melrose Street to the point at which it intersects the prolongation in a straight line of the eastern boundary of Lot 92 FP 170566, then northerly along that prolongation and boundary of Lot 92 to the point at which that boundary of Lot 92 meets the boundary of Lot 93 FP 170566, then generally north easterly, south westerly, north easterly, north westerly and north easterly along the boundary of Lot 93 to the north western boundary of Lot 94 FP 170566, then north easterly along that boundary of Lot 94 to the north western boundary of Lot 96 FP 170566, then north easterly and south easterly along that boundary of Lot 96 to the point at which it meets the north eastern boundary of Lot 1 DP 23269, then south easterly along that boundary of Lot 1 to the point at which it meets the north western boundary of Lot 32 FP 24077, then north easterly along that boundary of Lot 32 and the north western boundaries of the adjoining lots to the south western boundary of Lot 7 DP 54667, then north westerly along that boundary of Lot 7 to the point at which it meets the south eastern boundary of Lot 182 DP 76537, then generally easterly along that boundary of Lot 182 to the point at which it meets the south western boundary of Talunga Park Road, then in a straight line by the shortest route across Talunga Park Road to the north eastern boundary of the Road, then north westerly along that boundary of the Road to the point at which it meets the north western boundary of Lot 643 FP 169582, then generally north easterly, south easterly, north easterly and south easterly along the boundary of Lot 643 to the point at which it meets the north western boundary of Lot 637 FP 169576, then in a straight line by the shortest route to the south western boundary of Lot 4 DP 15632, then generally northerly, north easterly and south easterly along the boundary of Lot 4 to the point at which it meets the north western boundary of Melrose Street, then north easterly along that boundary of Melrose Street to the point at which it meets the south western boundary of Section 81 Hundred of Talunga, then north westerly, north easterly and south easterly around the south western, north western and north eastern boundaries of the Section back to the north western boundary of Melrose Street, then in a straight line by the shortest route across Melrose Street to the south eastern boundary of the Street, then south westerly along that boundary of the Street to the point of commencement. The area does not include the CFS building complex and car park on Lots 92 and 93 FP 170566.
Map of area
