Extent of prohibition
The consumption of liquor is prohibited and the possession of liquor is prohibited.
Period of prohibition
From 9pm on each day to 9am on the following day and excluding any day or portion of a day, ongoing, during which:
a) an event of historic, traditional, cultural or major community significance is held within the area; and
b) the consumption and possession of liquor in the area (or a defined portion of the area) are authorized for the purposes of the event by the Mount Barker District Council, the prohibition does not apply in the area (or defined portion of the area) during that specified event.
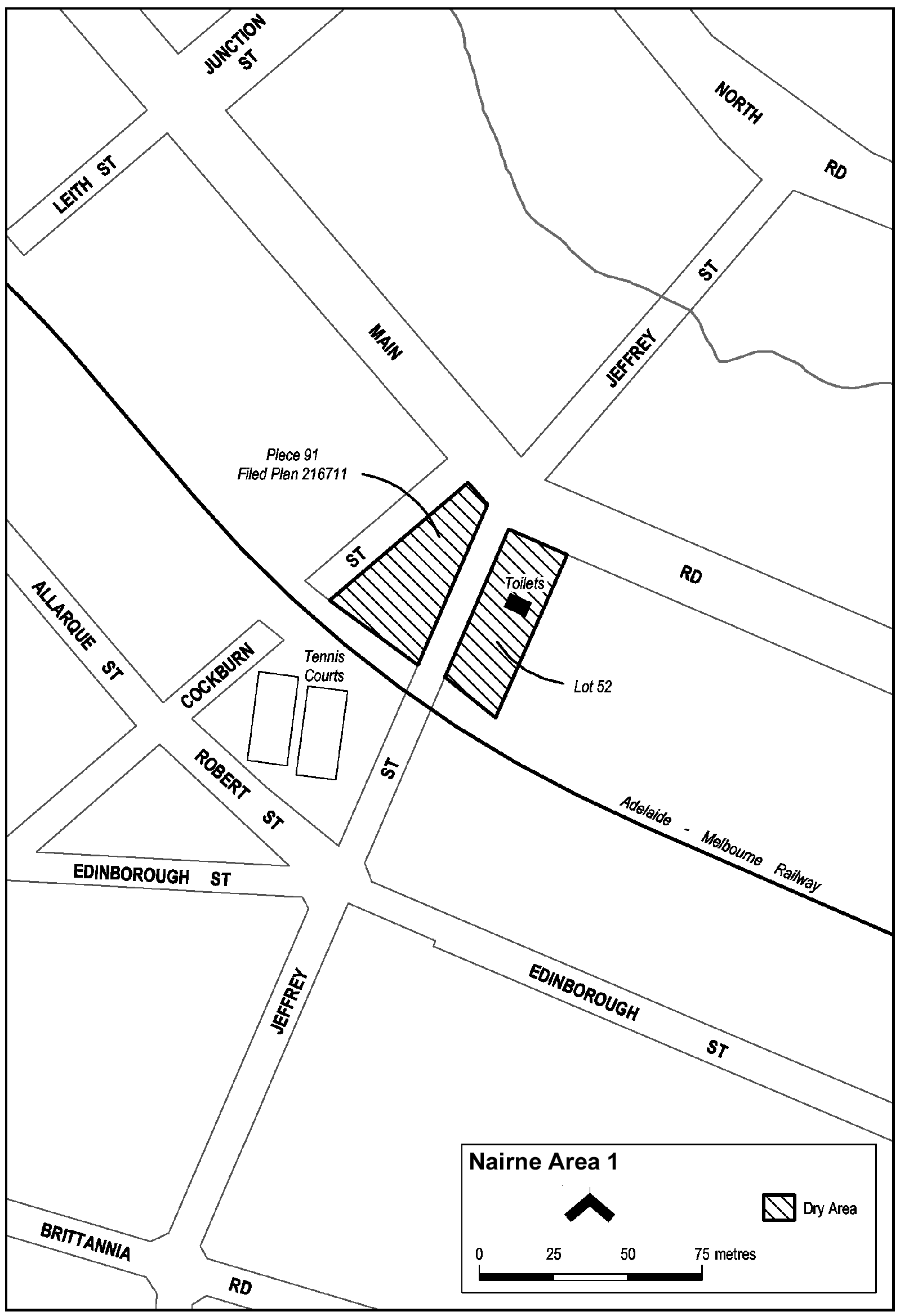
Description of area
Lot 52 of Filed Plan No 157387 (Certificate of Title Volume 5723 Folio 446) and Piece 91 of Filed Plan No 216711.
Map of area
