Extent of prohibition
The consumption of liquor is prohibited and the possession of liquor is prohibited.
Period of prohibition
Continuous.
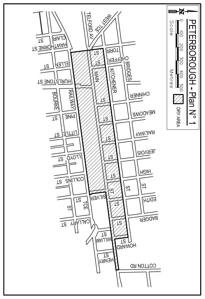
Description of area
The area in Peterborough bounded as follows: commencing at the point at which the southern boundary of Main Street meets the eastern boundary of Silver Street, then southerly along that boundary of Silver Street to the point at which it meets the northern boundary of Railway Terrace, then in a straight line by the shortest route in a westerly direction, across Silver Street to the northern corner of Railway Terrace and Silver Street, then in a straight line along the northern boundary of Railway Terrace to the point at which the eastern boundary of Hurlstone Street meets the northern boundary of Railway Terrace, then in a straight line by the shortest route across Hurlstone Street (approximately 12 metres to the western corner of Railway Terrace and Hurlstone Street), then westerly along the northern side of Railway Terrace for approximately 255 metres to the point at which that northern side of Railway Terrace is intersected by the prolongation in a straight line of the eastern boundary of Torr Street, then northerly along that prolongation and boundary of Torr Street to the point at which the eastern boundary of Torr Street meets the southern boundary of Kitchener Street, to the eastern boundary of Howard Street, then southerly along that boundary of Howard Street to the northern boundary of Main Street, then easterly along that boundary of Main Street to the western boundary of Cotton Road, then southerly along the prolongation in a straight line of the western boundary of Cotton Road to the southern boundary of Main Street, then westerly along that boundary of Main Street to the point of commencement.
Map of area
