Extent of prohibition
The consumption of liquor is prohibited and the possession of liquor is prohibited.
Period of prohibition
Continuous but excluding any day during that period on which a festival, exhibition, show or other event is held within the area if it
(a) is of historic, traditional or cultural significance or significantly promotes tourism; and
(b) has been authorised by the City of Port Adelaide Enfield for the purposes of this notice.
The City may not grant more than 3 authorisations in relation to this area in any calendar year.
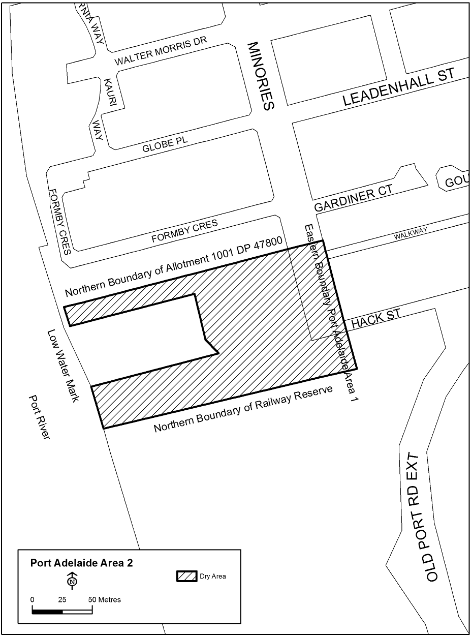
Description of area
The area in Port Adelaide bounded as follows: commencing at the point at which the prolongation in a straight line of the eastern boundary of Minories Street meets the northern boundary of the railway reserve immediately to the south of the southern end of Minories Street, then generally south-westerly along that northern boundary of the railway reserve to the low water mark on the eastern side of the Port Adelaide River, then generally northerly along the low water mark to the southern boundary of the dock that lies immediately to the north of the railway reserve (commonly known as Old Port Canal), then generally north-easterly, northerly and south-westerly along the low water mark on the southern, eastern and northern boundaries of that dock, then northerly along the low water mark of the River to the point at which it intersects the prolongation in a straight line of the northern boundary of that portion of Allotment 200 of DP 49128 that runs south-west/north-east, then north-easterly along that prolongation and portion of the northern boundary of Allotment 200 and the northern boundary of Allotment 1001 DP 47800 to the western boundary of Minories Street, then north-easterly along the prolongation in a straight line of the northern boundary of Allotment 1001 to the eastern boundary of Minories Street, then south-easterly along that boundary of Minories Street and the prolongation in a straight line of that boundary to the point of commencement.
Map of area
