Extent of prohibition
The consumption of liquor is prohibited and the possession of liquor is prohibited.
Period of prohibition
Continuous, provided that where:
(a) an event of historic, cultural, traditional or major community significance is held in the area; and
(b) the consumption and possession of liquor in the area (or a defined portion of the area) are authorised for a specified period for the purposes of the event by the Port Pirie Regional Council, the prohibition does not apply in the area (or defined portion of the area) during that specified period.
The Port Pirie Regional Council may not grant authorisations under this notice in relation to more than 12 events per calendar year.
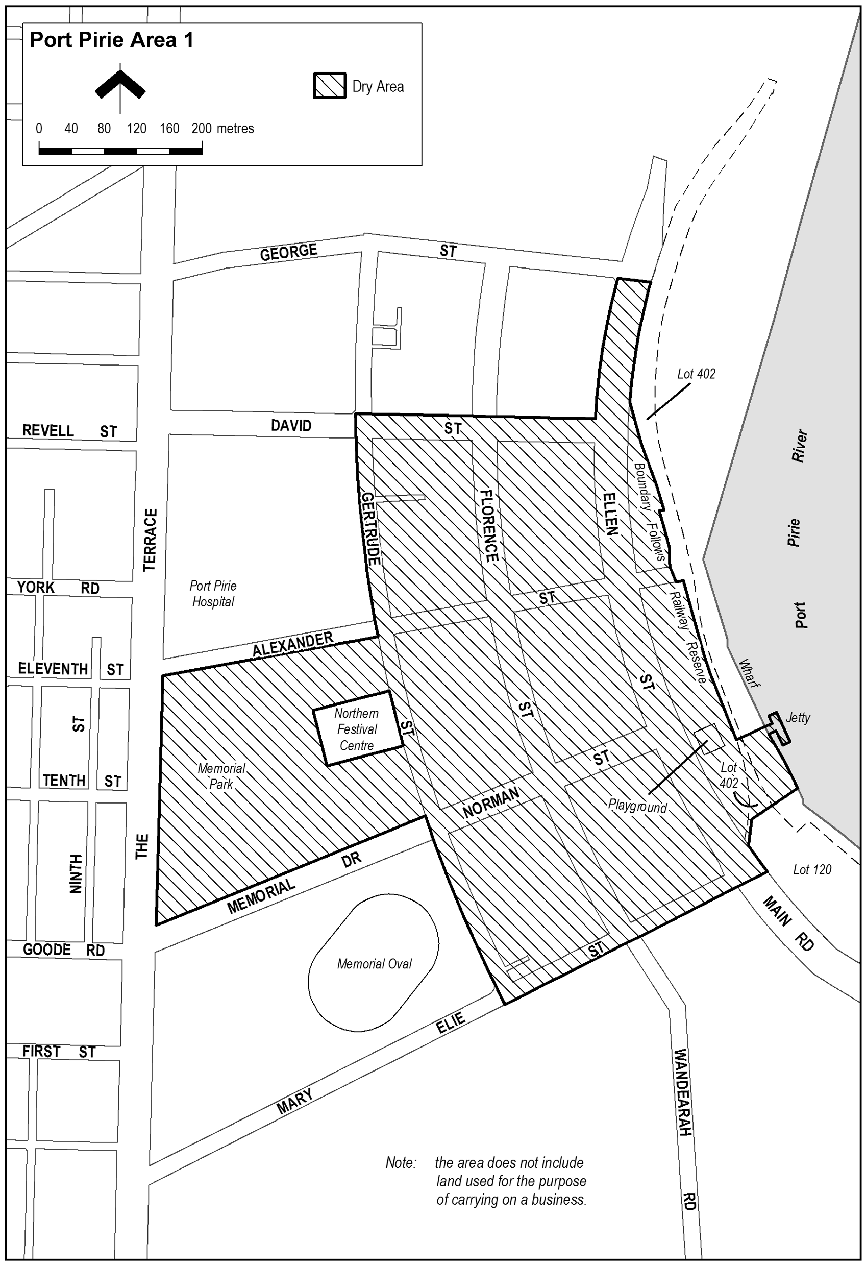
Description of area
The area in Port Pirie bounded as follows: commencing at the point at which the prolongation in a straight line of the south-eastern boundary of Mary Elie Street intersects the western boundary of Lot 120 DP 53026 (the north-eastern boundary of Main Road), then north-westerly, northerly and north-easterly along the boundary of Lot 120 to the point at which it meets the eastern boundary of Lot 402 DP 75081 (a Railway Reserve), then in a straight line by the shortest route to the eastern edge of the wharf on the western side of the Port Pirie River, then north-westerly along that edge of the wharf to the point at which it meets the southern side of a T-shaped jetty projecting from the wharf into the River (at a point immediately to the east of a fenced playground in Flinders View Park), then around the outer boundary of the jetty back to the wharf on the northern side of the jetty (so as to include the whole of the jetty in the area), then in a straight line by the shortest route to the western boundary of Lot 402 DP 75081(the Railway Reserve), then generally north-westerly and northerly along that western boundary of Lot 402 to the point at which it is intersected by the prolongation in a straight line of the southern boundary of George Street, then westerly along that prolongation of the southern boundary of George Street to the western boundary of Ellen Street, then southerly along that boundary of Ellen Street to the northern boundary of David Street, then westerly along that boundary of David Street to the point at which it intersects the western boundary of Gertrude Street, then southerly along that boundary of Gertrude Street to the point at which it intersects the southern boundary of Alexander Street, then south-westerly along that boundary of Alexander Street to the eastern boundary of The Terrace, then southerly along that boundary of The Terrace to the northern boundary of Memorial Drive, then north-easterly along that boundary of Memorial Drive to the point at which it meets the western boundary of Gertrude Street, then south-easterly along that boundary of Gertrude Street and the prolongation in a straight line of that boundary to the point at which it intersects the south-eastern boundary of Mary Elie Street, then north-easterly along that boundary of Mary Elie Street and the prolongation in a straight line of that boundary to the point of commencement. The area includes any area beneath a wharf or jetty included in the area, but excludes the Northern Festival Centre (Section 1285 Hundred of Pirie) and any land used for the purpose of carrying on a business.
Map of area
