Extent of prohibition
The consumption of liquor is prohibited.
The possession of liquor is prohibited except by a person who owns, leases, works on or is staying on a vessel moored to any part of the area and:
(a) who enters the area solely for the purpose of boarding the vessel; or
(b) who enters the area from the vessel solely for the purpose of leaving the area.
(This exception is in addition to the general exceptions in clause 4(4)).
Period of prohibition
From 7 pm on each day to 7 am on the following day, provided that where:
(a) an event of major community significance is held in the area; and
(b) the Renmark Paringa Council authorises for the purposes of the event the consumption and possession of liquor in the area (or a defined portion of the area) for a specified period during a time when the prohibition would otherwise apply, the prohibition does not apply in the area (or defined portion of the area) during that specified period.
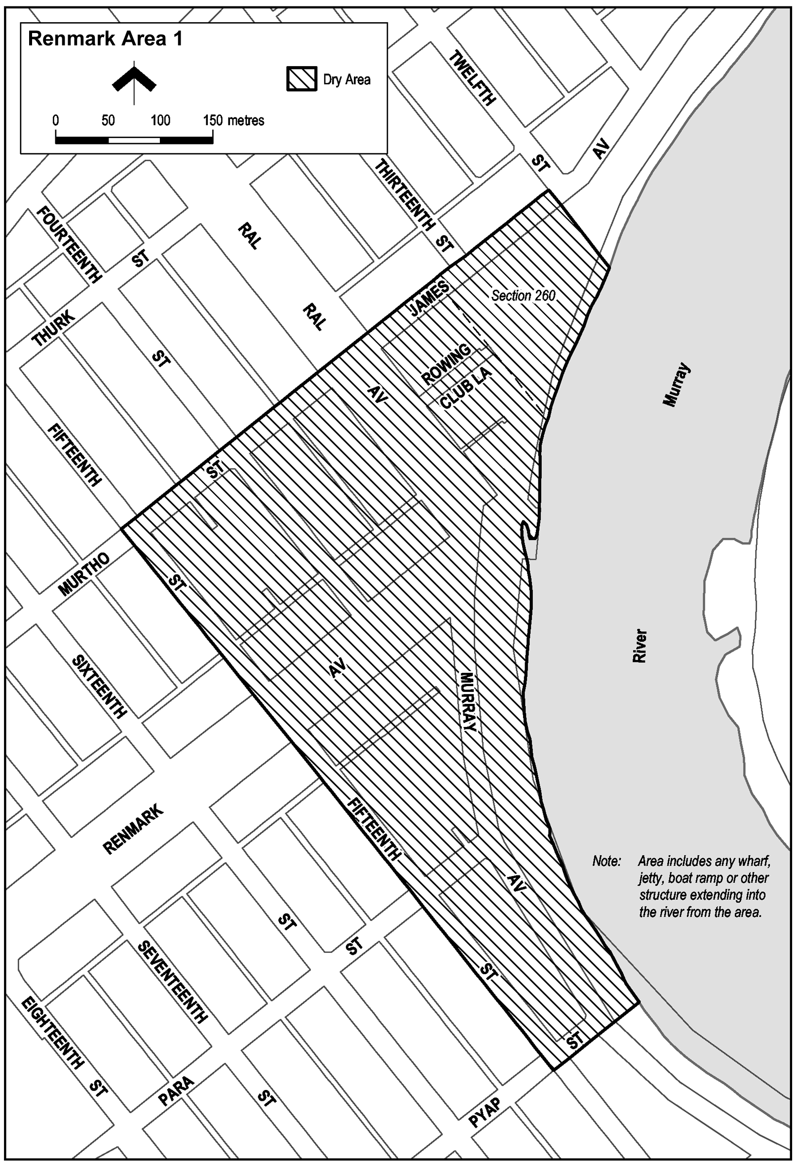
Description of area
The area bounded by the north-western boundary of James Avenue and Murtho Street, the south-western boundary of Fifteenth Street, the south-eastern boundary of Pyap Street (including the north-easterly prolongation in a straight line of that boundary to the western bank of the River Murray), the western bank of the River Murray (including the outer boundary of any wharf, jetty, boat ramp or other structure extending into the river), and the north-eastern boundary of Section 260, out of Hundreds, County of Hamley (including the north-westerly prolongation in a straight line of that boundary to the north-western boundary of James Avenue).
Map of area
