Extent of prohibition
The consumption of liquor is prohibited and the possession of liquor is prohibited.
Period of prohibition
Continuous, provided that where:
(a) an event of historic, cultural, traditional or major community significance is held in the area; and
(b) the City of Salisbury authorises, for the purposes of the event, the consumption and possession of liquor in part A or part B of the area (or a defined portion of part A or part B) for a specified period during the event, the prohibition does not apply in that part of the area (or defined portion of that part) during the specified period.
No more than 4 authorisations may apply in relation to part A of the area, and no more than 4 in relation to part B, in any 12 month period.
In this clause:
- Part A, in relation to the area to which the prohibition applies, means that part of the area that lies between the Council office building and the Home Assist building and James Street, as shown in the plan in this schedule labelled 'Salisbury Area 1 Authorised Areas';
- Part B, in relation to the area to which the prohibition applies, means that part of the area comprising Lots 1 and 2 of Filed Plan No 37216 (see the plan in this schedule labelled 'Salisbury Area 1 Authorised Areas').
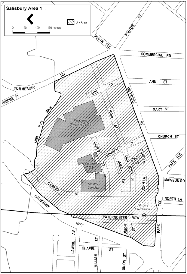
Description of area
The area in Salisbury generally known as the Salisbury Town Centre, being the area bounded on the north by the southern bank of the Little Para River, on the east by Commercial Road, on the south by Wiltshire Street and Park Terrace, and on the west by Salisbury Highway.
Map of area
