Extent of prohibition
The consumption of liquor is prohibited and the possession of liquor is prohibited.
Period of prohibition
Continuous from 30 March 2017.
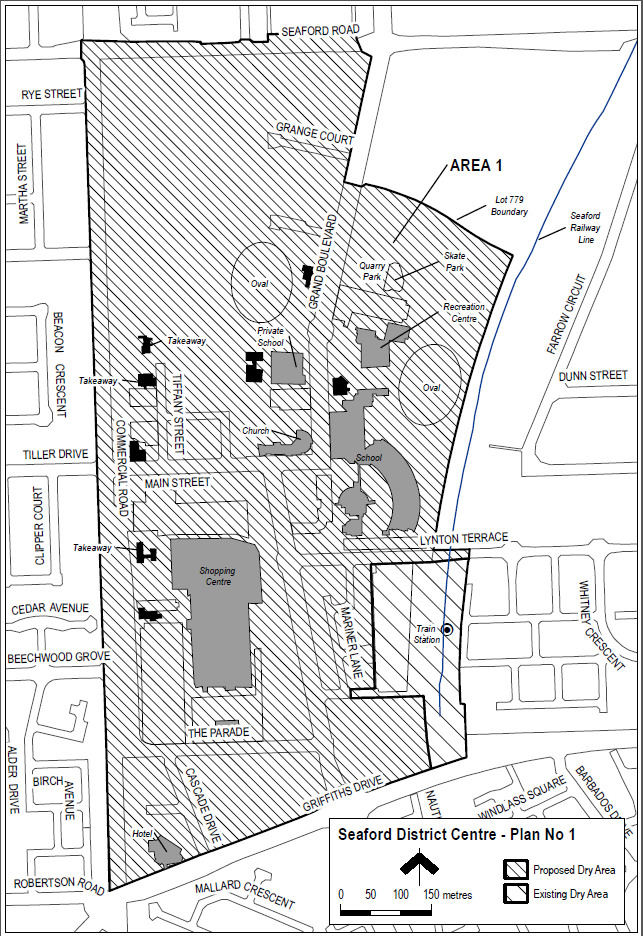
Description of area
The area in City of Onkaparinga known as the Seaford District Centre, being the area bounded on the north by Seaford Road, on the east side by Seaford Rail way line, Lynton Terrace to the boundary that cuts west on Lot 779 and then northerly along Grand Boulevard until it meets Seaford Road and on the south by Griffiths Drive and on the west by Commercial Road.
Map of area
