Extent of prohibition
The consumption of liquor is prohibited and the possession of liquor is prohibited.
Period of prohibition
From 10 pm on each day to 8 am on the following day.
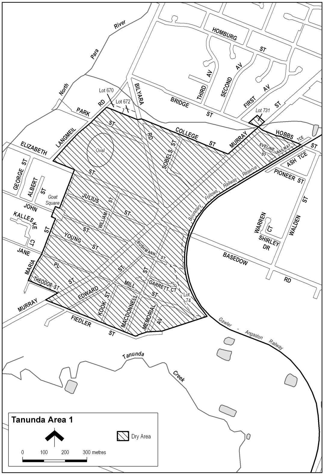
Description of area
The area in Tanunda bounded as follows: commencing at the point at which the northern boundary of College Street meets the western boundary of Murray Street, then north easterly along the western boundary of Murray Street to the southern boundary of Lot 731 FP 172182 (the northern boundary of Bridge Street), then north westerly, north easterly and south easterly along the southern, western and northern boundaries of Lot 731 back to the western boundary of Murray Street, then south westerly along that boundary of Murray Street to the point at which it meets the northern boundary of Bridge Street, then in a straight line by the shortest route across Murray Street to the point at which the eastern boundary of Murray Street meets the northern boundary of Hobbs Street, then generally south easterly along the northern boundary of Hobbs Street and the prolongation in a straight line of that boundary to the north western boundary of the railway reserve, then generally south westerly along that boundary of the railway reserve to the northern boundary of Basedow Road, then in a straight line by the shortest route across Basedow Road to the point at which the southern boundary of Basedow Road meets the western boundary of the railway reserve, then generally southerly and south easterly along the western boundary of the railway reserve to the point at which that boundary meets the southern boundary of Lot 74 DP 58229, then in a straight line by the shortest route to the northern boundary of the eastern end of Fiedler Street, then generally south westerly and north westerly along the northern boundary of Fiedler Street and the prolongation in a straight line of that boundary to the western boundary of Murray Street, then north easterly along the western boundary of Murray Street to the northern boundary of Theodor Street, then north westerly along the northern boundary of Theodor Street and the prolongation in a straight line of that boundary to the western boundary of Maria Street, then generally north easterly along the western boundary of Maria Street (including around the southern, western and northern boundaries of Goat Square, so as to include the whole of the Square within the area) and the prolongation in a straight line of that boundary to the northern boundary of Elizabeth Street, then north westerly along that boundary of Elizabeth Street to the eastern boundary of Langmeil Road, then north easterly along that boundary of Langmeil Road to the point at which it meets the southern boundary of Lot 670 FP 172121, then south easterly along that boundary of Lot 670 and the southern boundary of Lot 672 FP 172123 to the point at which that boundary of Lot 672 meets the western boundary of Bilyara Road, then in a straight line by the shortest route across Bilyara Road to the point at which the eastern boundary of Bilyara Road meets the northern boundary of College Street, then south easterly along the northern boundary of College Street to the point of commencement.
Map of area
