Extent of prohibition
The consumption of liquor is prohibited and the possession of liquor is prohibited.
Period of prohibition
Continuous, but excluding any day or portion of a day during which:
(a) a festival, exhibition, show or other event of historic, traditional or cultural significance or that promotes tourism is held within the area; and
(b) the consumption and possession of liquor within the area are authorised for the purposes of this notice by the City of Charles Sturt.
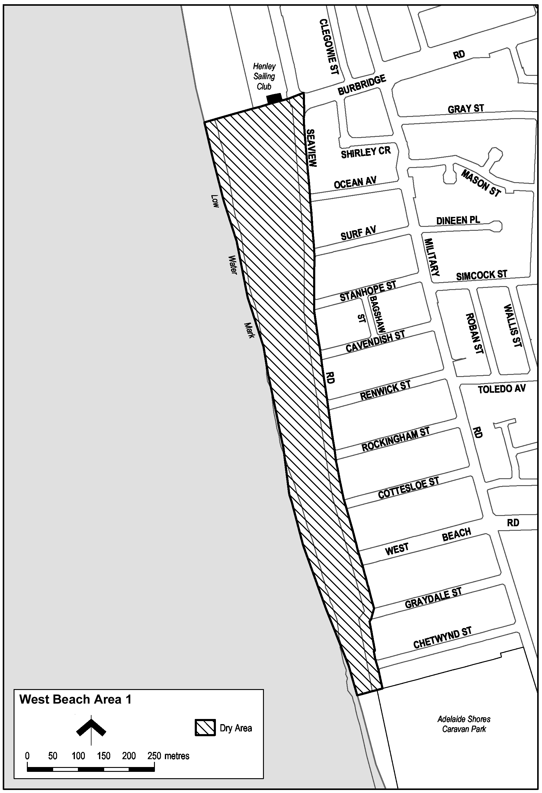
Description of area
The area at West Beach bounded as follows: commencing at the point at which the eastern boundary of Seaview Road meets the northern boundary of Adelaide Shores Caravan Park (the south-western corner of Strata Plan No. 4034), then westerly along the prolongation in a straight line of the northern boundary of the Caravan Park to the low water mark, then northerly along the low water mark to its intersection with the westerly prolongation in a straight line of the northernmost boundary of Hundred Plan No. 105100652, then easterly along that prolongation and boundary of the Hundred Plan, and the easterly prolongation in a straight line of the boundary, to the eastern boundary of Seaview Road, then generally southerly along that boundary of Seaview Road to the point of commencement.
Map of area
