Extent of prohibition
The consumption of liquor is prohibited and the possession of liquor is prohibited.
Period of prohibition
From 10 pm on each day to 8 am on the following day.
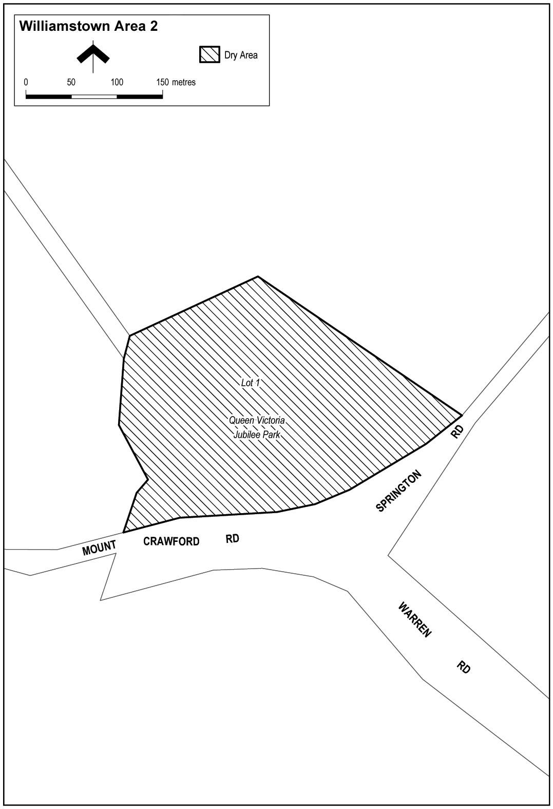
Description of area
The area adjacent to Williamstown, generally known as Queen Victoria Jubilee Park, being Lot 1 FP 100290.
Map of area
